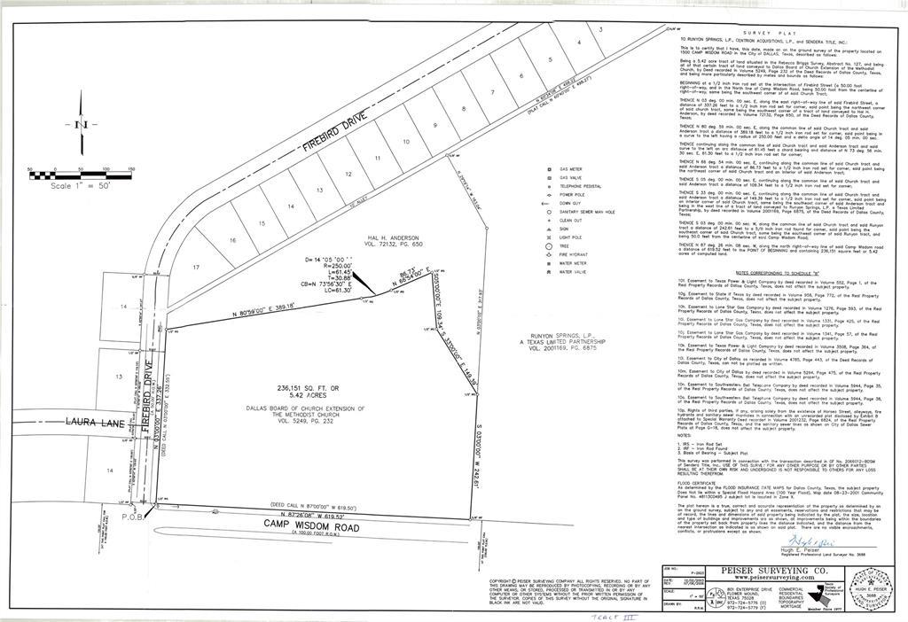
1501 E Camp Wisdom Road, Dallas, TX

$2,300,000

Previous Next

5.42

Acres

About 1501 E Camp Wisdom Road

Prime Acreage Development Opportunity – Pre-Platted for 22 Lots! Seize this rare opportunity to own acreage in Dallas with much of the groundwork already completed! Located in PD 658, Zone R 7.5 A, this development-ready property offers immense potential in a rapidly growing area. Property Highlights: -Pre-Platted for 22 Residential Lots – Save time and jumpstart your project! - Unique PD Zoning Advantage – No government fees or permissions required for tree removal (per Article X). - Unbeatable Location – Situated directly across from UNT Dallas, in the heart of a booming area with new developments. - Strong Growth Potential – Surrounded by expanding residential and commercial projects. This is a developer’s dream in a high-demand location with minimal barriers to progress. Don't miss out on this exceptional investment opportunity!

Features of 1501 E Camp Wisdom Road

MLS® # 20837145
Price $2,300,000
Bathrooms 0.00
Acres 5.42
Type Land
Sub-Type Unimproved Land
Status Active

Community Information

Address 1501 E Camp Wisdom Road
Subdivision Rebecca Briggs Surv Abs #127
City Dallas
County Dallas
State TX
Zip Code 75241

Amenities

Utilities None
Is Waterfront No
Has Pool No

Interior

Fireplace No

Exterior

Lot Description Acreage, Adjacent to Greenbelt

School Information

District Dallas ISD
Elementary Thornton
Middle Storey
High Southoakcl

Additional Information

Zoning PD 658, R 7.5(A)

Listing Details

AgentArezou Maghami
OfficeJPAR North Metro
Contact Info972-836-9295

Listing Map

Request a Showing

Provide a valid email address.
When would you like to view this property?